11 grudnia odnotowano w naszym kraju piętnasty w tym roku rekord średniej dobowej temperatury, a licząc od 1 stycznia, ten rok jest o co najmniej 0,8 st. C cieplejszy niż klimatyczna norma. Tak ciepłych dni, jak 9, 10 i 11 grudnia nie odnotowano od 1951 r. — powiedział klimatolog prof. Bogdan Chojni...
źródło: https://podroze.onet.pl/aktualnosci/klimatolog-tak-cieplego-grudnia-nie-bylo-od-74-lat/8n7we04
dodano: 2025-12-14 11:07:15
Inne znaleziska:
Na Jamajce liczą straty po Melissie. Klimatolog z ostrzeżeniem
smoglab.pl
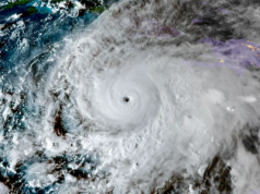
Huragan Melissa, choć nie był najsilniejszym cyklonem, jaki powstał na Oceanie Atlantyckim, był najsilniejszym, jaki uderzył w Jamajkę. Naukowcy jasno mówią, że ten żywioł został znacznie wzmocniony przez ocieplający się klimat. Według wyliczeń taki...
smoglab.pl, 2025-11-03 21:25:21
2025-11-03 21:25:21
W Warszawie nie odczują, że już jest jesień. Ale rano przyda się coś ciepłego
natemat.pl
Choć mamy już jesień i w powietrzu czuć lekkie ochłodzenie, to pogoda w Warszawie w czwartek 25 września może napawać nas optymizmem. Przez cały dzień niebo będzie niema bezchmurne. A jakiej temperatury możemy się spodziewać? Oto szczegóły prognozy....
natemat.pl, 2025-09-25 05:08:12
2025-09-25 05:08:12
Nie wsiądziesz do ciepłego auta? Toyota bez popularnej funkcji
instalki.pl
Wielu użytkowników samochodów marki Toyota i Lexus przeżyło niemiłą niespodziankę. Zniknęła bowiem popularna funkcja pozwalająca na zdalne uruchomienie klimatyzacji postojowej z poziomu aplikacji. Szczególnie w okresie zimowym była naprawdę nieocenio...
instalki.pl, 2026-01-16 10:44:24
2026-01-16 10:44:24
Lato kontratakuje. Fala ciepłego powietrza obejmie wiele regionów
interia.pl
Więcej słońca, mniej deszczu - tak w skrócie można opisać pogodę, jakiej doświadczymy w środę. Najwięcej będzie się działo na zachodzie, gdzie może popadać słaby deszcz, jednak w tym samym rejonie będzie też najcieplej. Miejscami w ciągu dnia do prog...
interia.pl, 2025-08-27 09:01:05
2025-08-27 09:01:05
Polarne niedźwiedzie dostosowują się do ciepłego klimatu. Efekt rekordowo wysokich temperatur Oceanu Arktycznego
gospodarkamorska.pl
Biolodzy odkryli związek między ociepleniem klimatu a zmianami w DNA polarnych niedźwiedzi. Mutacje w niektórych genach związanych ze stresem cieplnym, metabolizmem i starzeniem się pomagają tym zwierzętom dostosować się do nowych warunków.
gospodarkamorska.pl, 2025-12-13 19:06:10
2025-12-13 19:06:10
Front chłodny nad Lubelszczyzną. Deszcz, możliwe burze i koniec wyjątkowo ciepłego marca
lublin112.pl
Do regionu napływa chłodniejsza i wilgotniejsza masa powietrza związana z falującym frontem atmosferycznym. Przyniesie ona opady deszczu, lokalnie burze oraz wyraźne ochłodzenie po wyjątkowo ciepłej i suchej pierwszej części marca.
lublin112.pl, 2026-03-25 22:45:18
2026-03-25 22:45:18
16 grudnia 1981 r. ZOMO zabiło górników z kopalni „Wujek” – strzały padły, gdy wydawało się, że jest po wszystkim16 grudnia 1981 r. ZOMO zabiło górników z kopalni „Wujek” – strzały padły, gdy wydawało się, że jest po wszys
zycieczestochowy.pl
Artykuł 16 grudnia 1981 r. ZOMO zabiło górników z kopalni „Wujek” – strzały padły, gdy wydawało się, że jest po wszystkim16 grudnia 1981 r. ZOMO zabiło górników z kopalni „Wujek” – strzały padły, gdy wydawało się, że jest po wszystkim pochodzi z serw...
zycieczestochowy.pl, 2025-12-16 22:16:16
2025-12-16 22:16:16
Tak Nawrocki spędzi 6 grudnia. Będzie w studio
swiatgwiazd.pl
100 dni prezydentury Karola Nawrockiego nie schodzi z pierwszych stron gazet. Ostatnio
swiatgwiazd.pl, 2025-11-24 09:35:10
2025-11-24 09:35:10
Obchody Grudnia '70. Prezydent: Jak mogło się stać tak, że Polacy strzelali do Polaków?
rmf24.pl
Co zostanie Polakom po rządach koalicji 13 grudnia? Perspektywy nie są optymistyczne...
niezalezna.pl
- Jest pytanie czy w tym szaleństwie jest jakaś metoda. Czy to jest tylko kwestia nieudolności tych ludzi, nieumiejętności zarabiania pieniędzy dla Polski i Polaków, czy jest to świadome prowadzenie do upadłości finansów, żeby zostawić następcom spal...
niezalezna.pl, 2025-10-21 00:09:30
2025-10-21 00:09:30