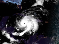
Huragan Melissa dotarł do Jamajki, w którą uderzył z niespotykaną wcześniej na tej wyspie siłą, we wtorek wieczorem. Porywy wiatru w kulminacyjnym momencie sięgnęły prędkości 295 km/h, w związku z czym żywioł okrzyknięty został "burzą stulecia". W sieci pełno jest nagrań ukazujących ogromne zniszcze...
źródło: https://wydarzenia.interia.pl/zagranica/news-burza-stulecia-melissa-sie-nie-zatrzymuje-kolejna-wyspa-goto,nId,22436553
dodano: 2025-10-29 07:21:17
Inne znaleziska:
Niepokojące szczegóły operacji "Ryczący Lew". Tak wyglądał pierwszy atak na Iran
fakt.pl
28 lutego Donald Trump podjął decyzję o rozpoczęciu operacji o kryptonimie "Ryczący Lew". Jej celem był prewencyjny atak na Iran. Wojsko zaatakowało stolicę Teheran oraz inne największe miasta w pobliżu. Wiemy, skąd i gdzie dokładnie zaatakowano.
fakt.pl, 2026-02-28 11:14:04
2026-02-28 11:14:04
USA i Izrael zaatakowały Iran. „Ryczący lew” i „Epicka furia” w natarciu. Szczegóły
kronika24.pl
Trwa zakrojona na szeroką skalę operacja militarna na Bliskim Wschodzie! Przestrzeń powietrzna dla ruchu cywilnego na Iranem, Irakiem, Izraelem, Katarem, Kuwejtem, Bahrajnem i ZEA jest zamknięta. Prawdopodobne są dalsze zamknięcia przestrzeni lub zna...
kronika24.pl, 2026-02-28 21:14:16
2026-02-28 21:14:16
Izrael podsumowuje operację "Ryczący Lew". Wolumen bomb budzi wrażenie
tech.wp.pl
Izraelskie Siły Powietrzne (IAF) poinformowały, że od czasu rozpoczęcia operacji "Ryczący Lew" zużyły ponad 5 tys. bomb lotniczych. Oto czym Izrael dewastuje siły zbrojne Iranu.
tech.wp.pl, 2026-03-04 18:43:10
2026-03-04 18:43:10
Złudne nadzieje Iranu. „Epicka Furia” i „Ryczący Lew” błyskawicznie rozbiły tarczę Putina
kresy24.pl
Wykorzystywane przez Iran rosyjskie i sowieckie systemy obrony przeciwlotniczej i przeciwrakietowej okazały się nieprzygotowane do odparcia amerykańskich ataków powietrznych. Poinformował o tym w Radiu „NW” Ołeksandr Kowałenko, analityk wojskowy i po...
kresy24.pl, 2026-03-05 00:17:18
2026-03-05 00:17:18
Melissa zmierza prosto na Jamajkę jako huragan kategorii 4
misyjne.pl
Huragan Melissa gwałtownie w niedzielę przybrał na sile, osiągając kategorię 4 i generując maksymalną stałą prędkość wiatru do 230 km/h. Przesuwa się na północny zachód przez Morze Karaibskie, prosto na Jamajkę – poinformował amerykański National Hur...
misyjne.pl, 2025-10-27 09:07:10
2025-10-27 09:07:10
Huragan Melissa dociera do Jamajki, na miejscu są Polacy. Apel MSZ
rmf24.pl
Potężny huragan Melissa dociera do Jamajki. Decyzją władz wszystkie główne lotniska zostały zamknięte. Żywioł oznacza ekstremalnie silny wiatr i ulewne opady deszczu. Jak informuje korespondent RMF FM w USA Paweł Żuchowski na miejscu jest też spora g...
rmf24.pl, 2025-10-28 01:05:34
2025-10-28 01:05:34
Huragan Melissa zagraża Jamajce. Padają kolejne rekordy
remiza.pl
Huragan Melissa, który zbliża się do Jamajki, utrzymuje kategorię 5 i generuje wiatry o niszczącej sile. Wyjątkowo wolny ruch układu zwiększa ryzyko długotrwałych, katastrofalnych zjawisk pogodowych. Służby ostrzegają przed potężnymi ulewami mogącymi...
remiza.pl, 2025-10-28 08:17:20
2025-10-28 08:17:20
Huragan Melissa zbliża się do Jamajki. Są pierwsze ofiary
energetyka24.com
Huragan Melissa okazał się najsilniejszym tego typu zjawiskiem 2025 r. To huragan piątej, najwyższej kategorii, a według ekspertów prędkość wiatru może(https://www.bbc.com/news/live/cvgvexdjp1xt) nawet 282 km/h. Zbliża się do Jamajki, gdzie już teraz...
energetyka24.com, 2025-10-28 15:26:21
2025-10-28 15:26:21
Monstrualny huragan Melissa pustoszy Karaiby. „Żadna infrastruktura tego nie wytrzyma”
smoglab.pl
Na Jamajkę lada chwila dotrze monstrualny huragan z wiatrem przekraczającym 280 km/h. Według meteorologów Melissa to obecnie najsilniejszy cyklon tropikalny na naszej planecie w tym roku i piąty najsilniejszy w historii Atlantyku. Żywioł nie tylko je...
smoglab.pl, 2025-10-28 18:56:24
2025-10-28 18:56:24
Tak Polacy przygotowali się na huragan Melissa na Jamajce. "Burza stulecia"
gazeta.pl
Polacy zabarykadowali się przed huraganem Melissa na Jamajce. Sposób, w jaki to zrobili, został uchwycony na zdjęciach.
gazeta.pl, 2025-10-28 21:54:08
2025-10-28 21:54:08